Mouza Maps (Revenue Survey), Abhaynagar, Jessore (Part 2)

0
173
Noyapara, JL 57, Sheet No. 1
Noyapara, JL 57, Sheet No. 2

Noyapara, JL 57, Sheet No. 3

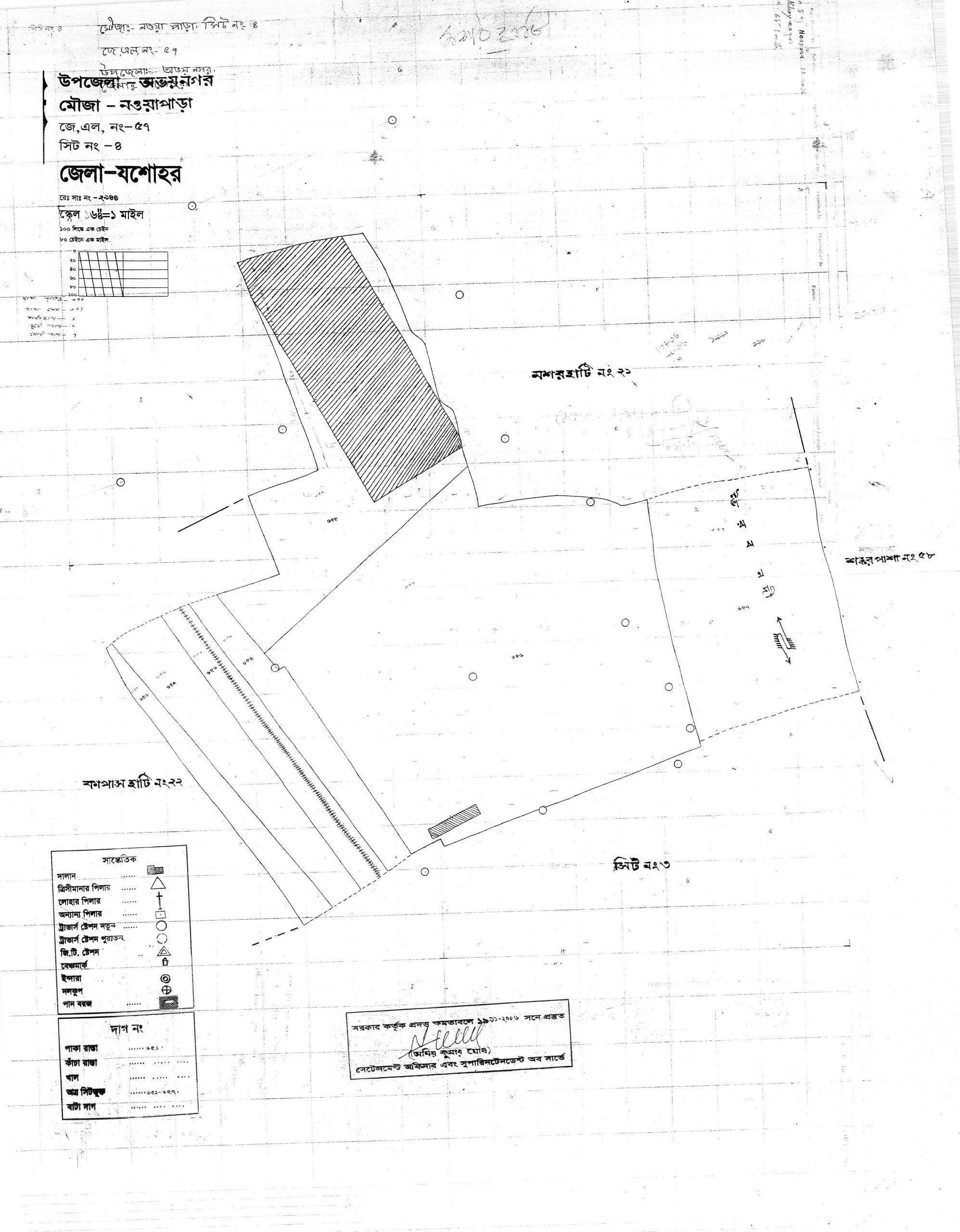
Noyapara, JL 57, Sheet No. 4

Noyapara, JL 57, Sheet No. 5

Noyapara, JL 57, Sheet No. 6
Noyapara, JL 57, Sheet No. 7
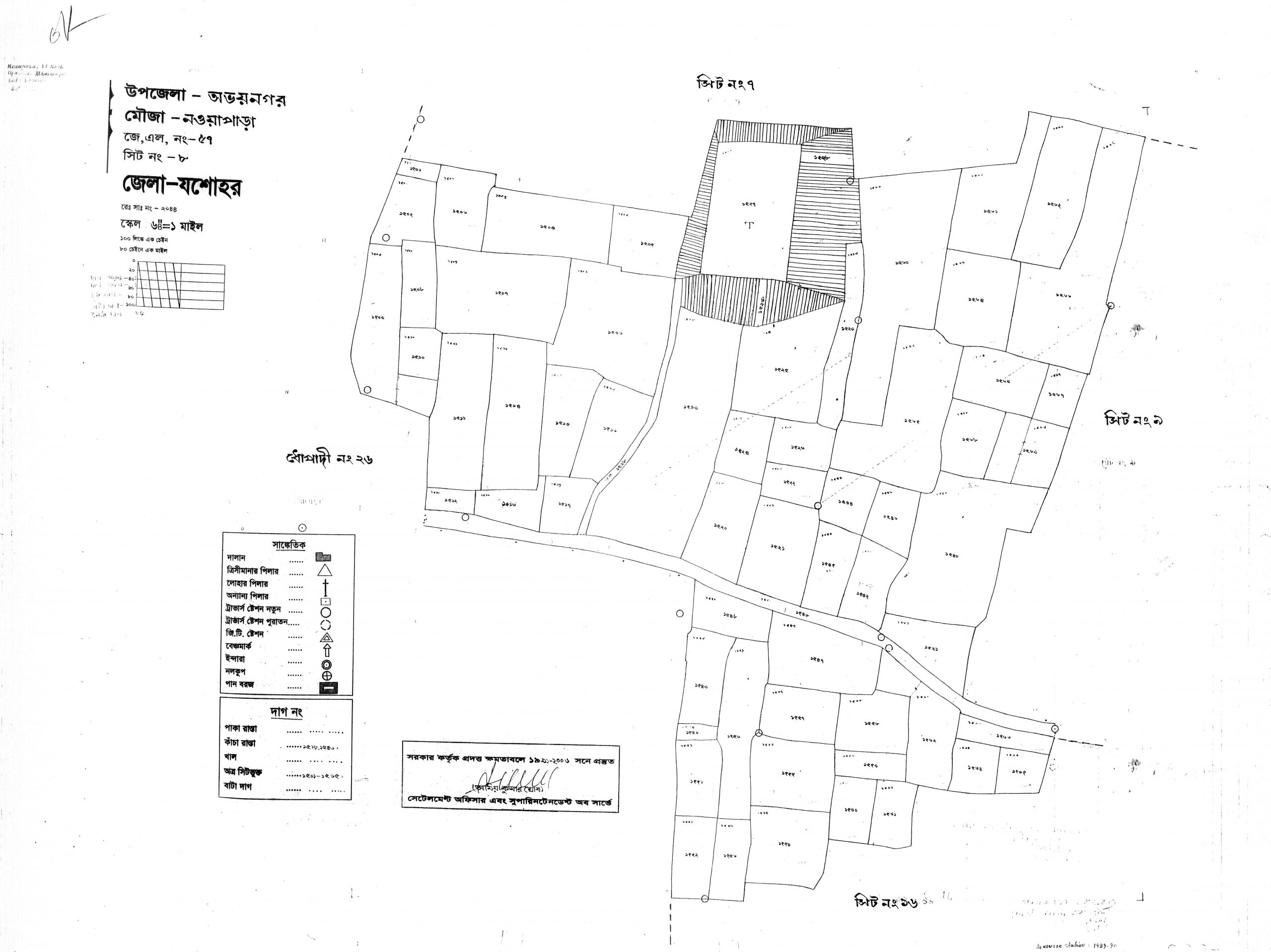
Noyapara, JL 57, Sheet No. 8
Noyapara, JL 57, Sheet No. 9

Noyapara, JL 57, Sheet No. 10

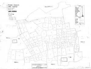
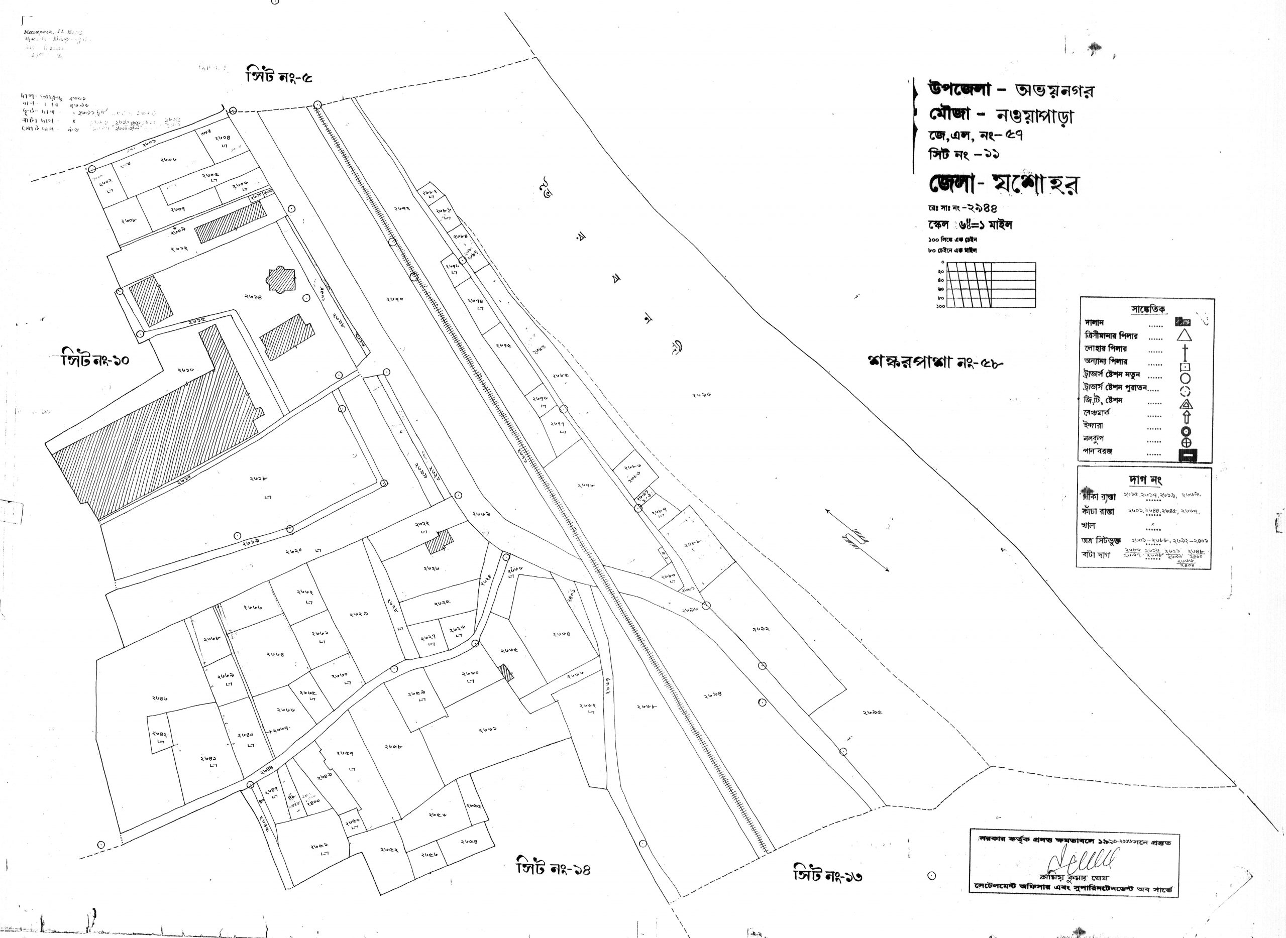
Noyapara, JL 57, Sheet No. 11
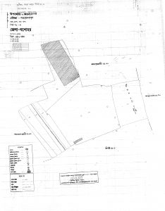
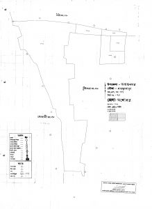
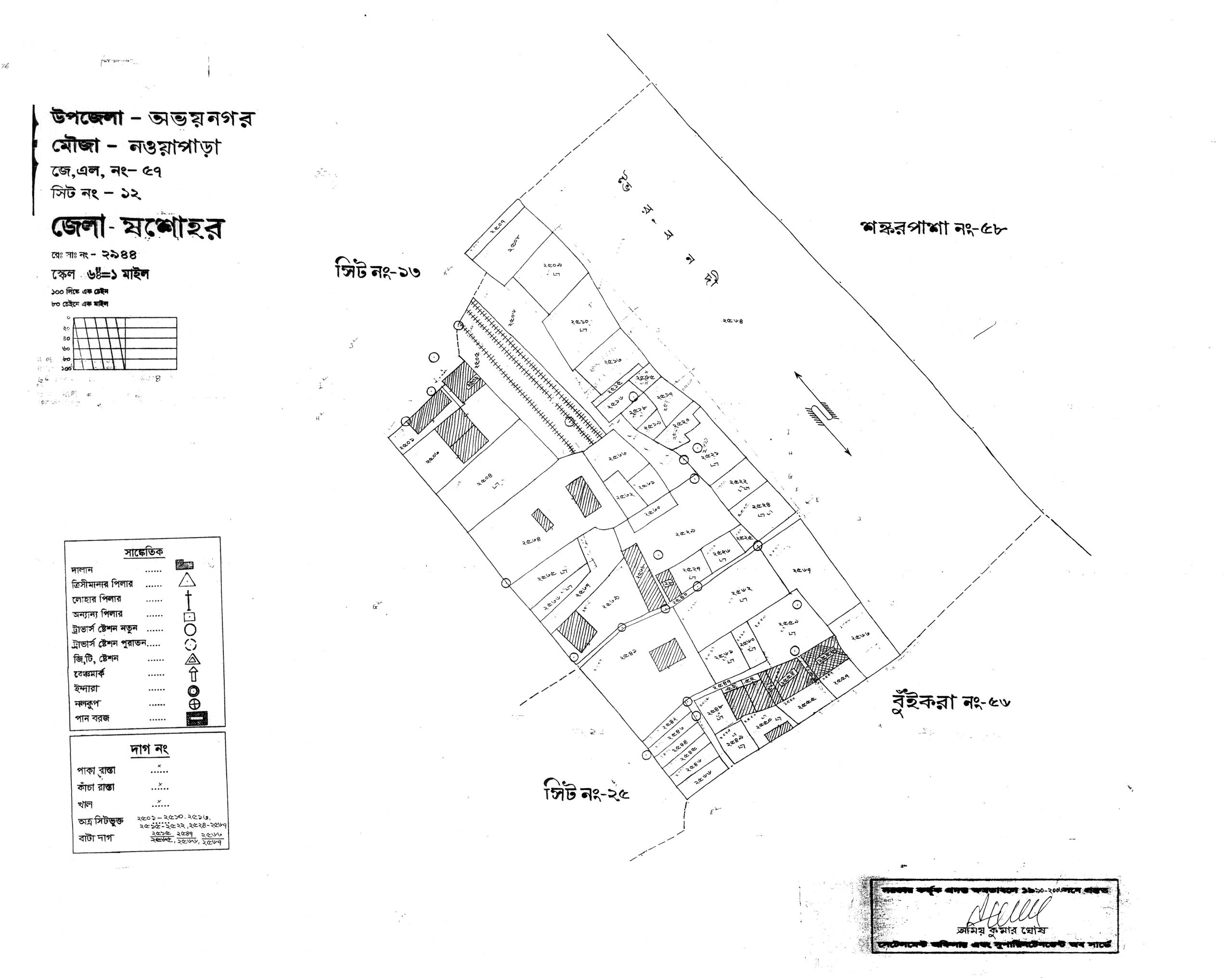
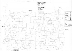
Noyapara, JL 57, Sheet No. 12
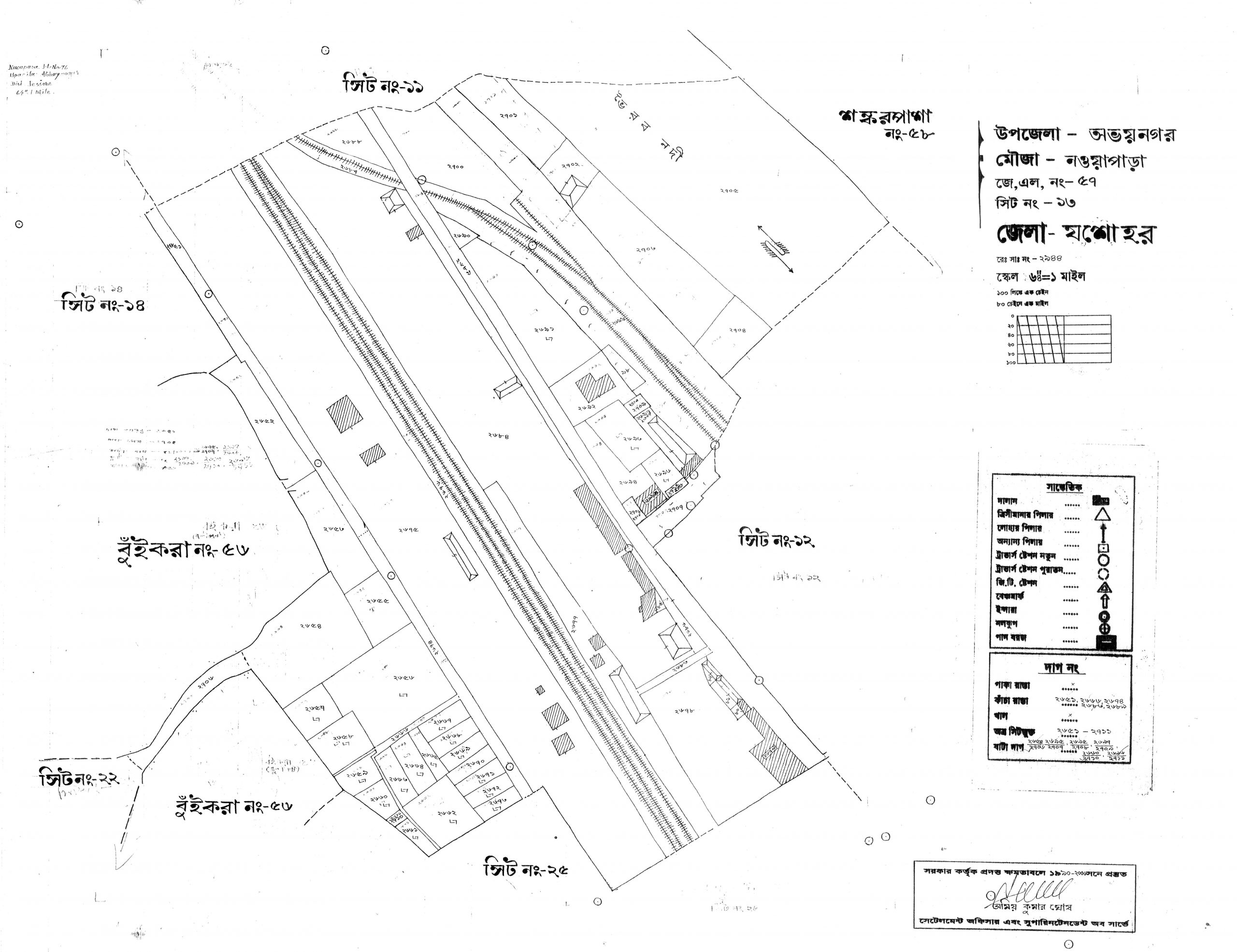
Noyapara, JL 57, Sheet No. 13

Noyapara, JL 57, Sheet No. 14

Noyapara, JL 57, Sheet No. 15

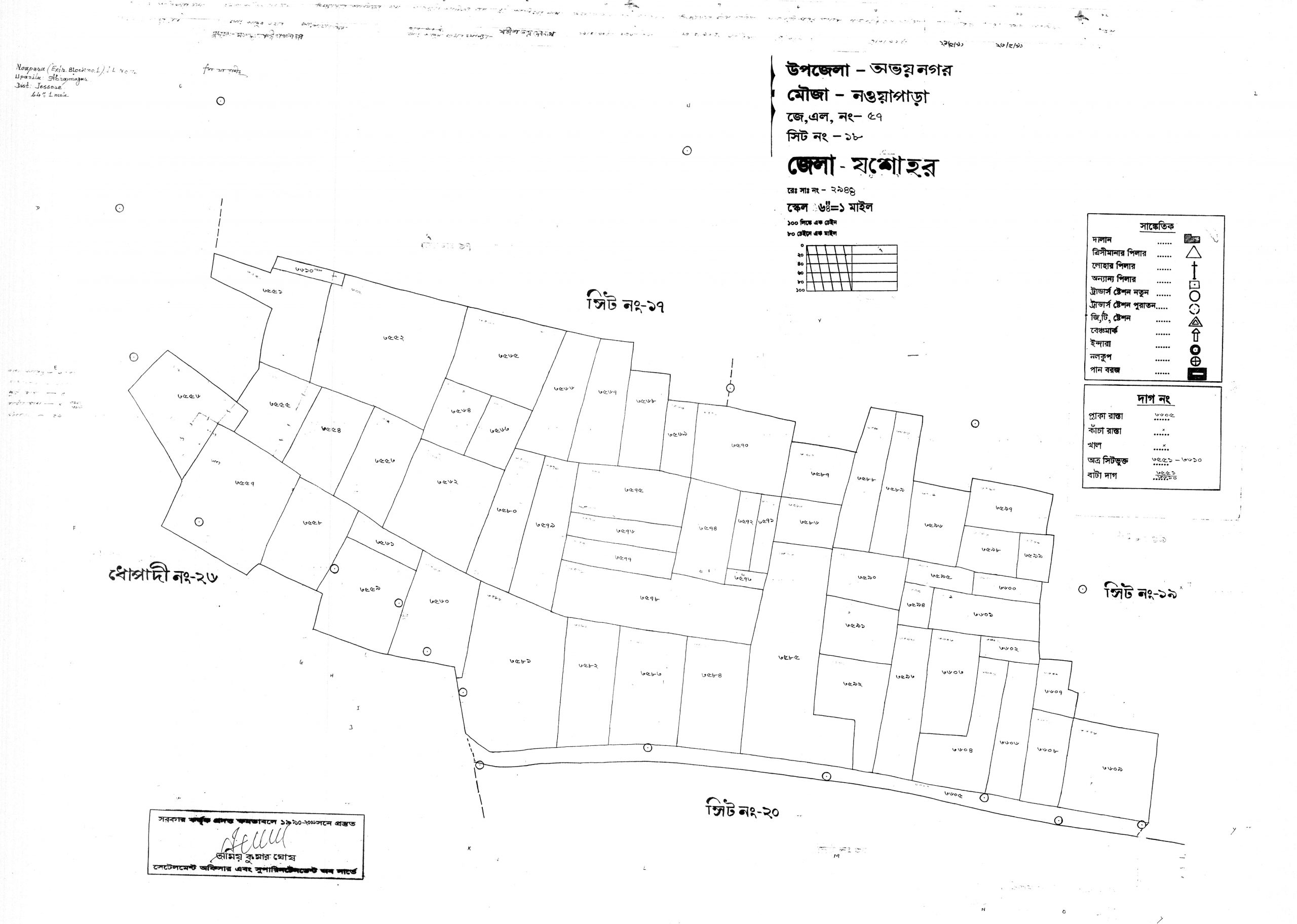
Noyapara, JL 57, Sheet No. 18
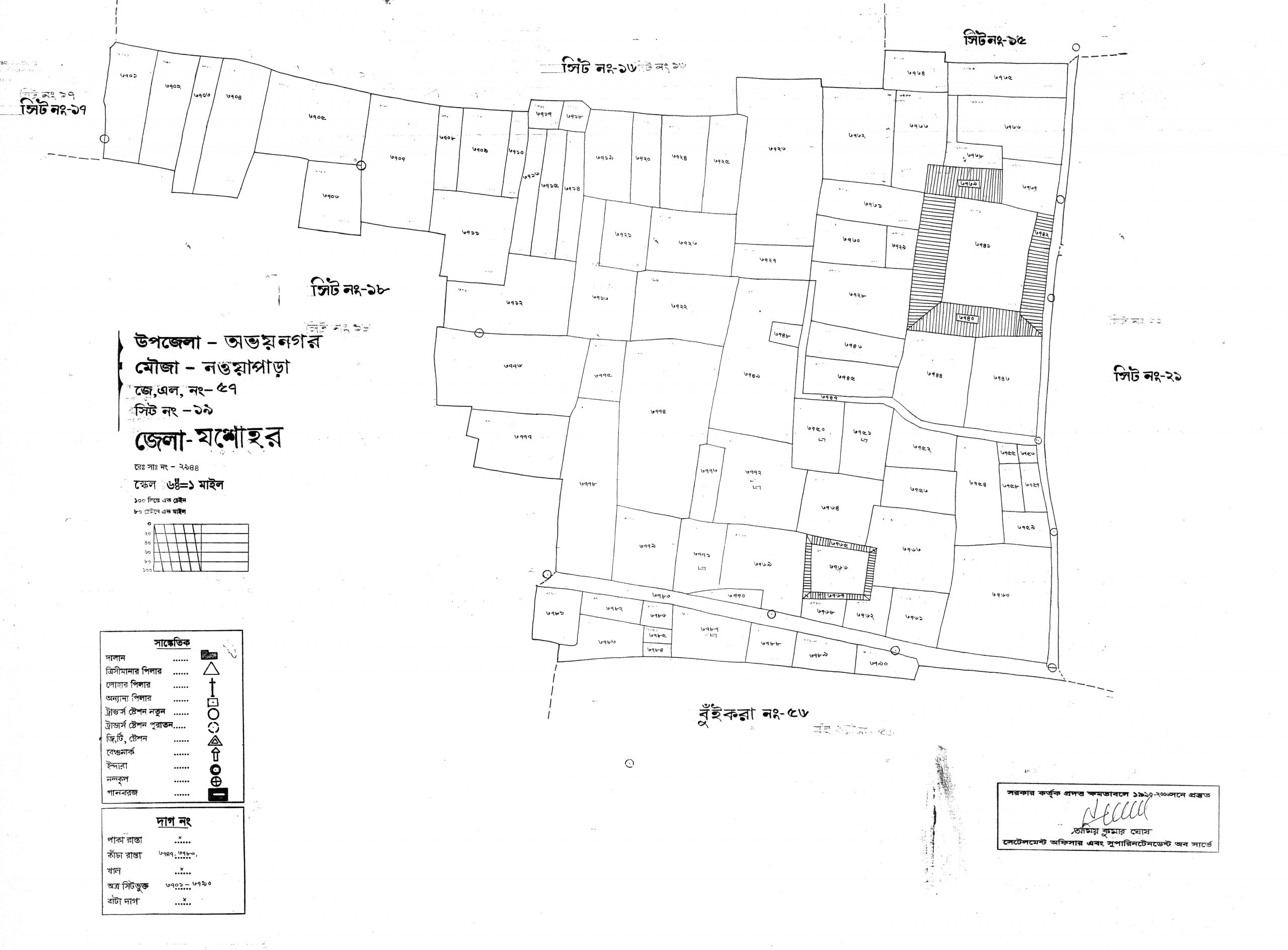
Noyapara, JL 57, Sheet No. 19
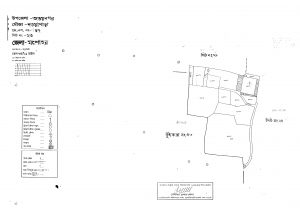
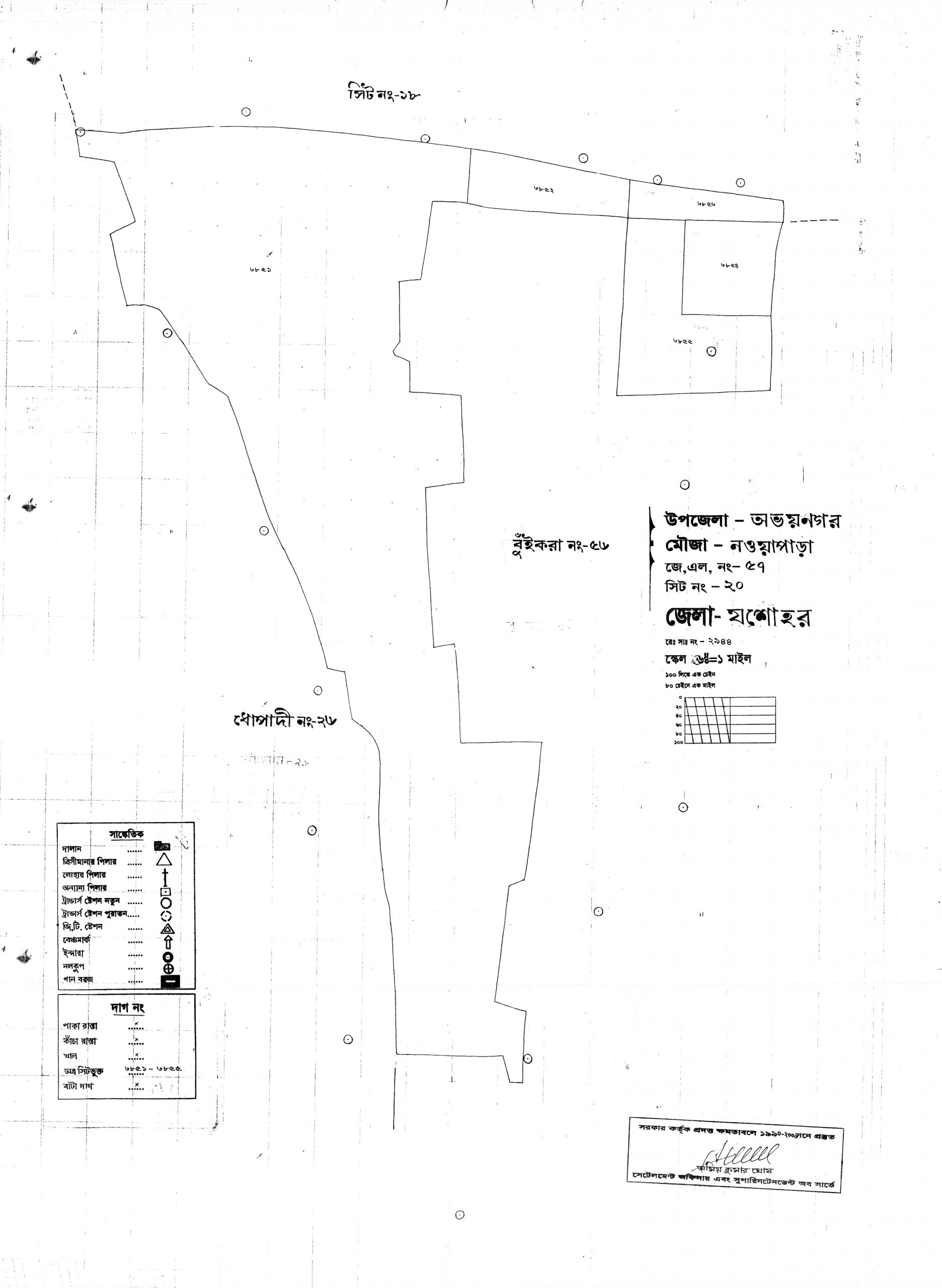
Noyapara, JL 57, Sheet No. 20

Noyapara, JL 57, Sheet No. 21

Noyapara, JL 57, Sheet No. 22
Noyapara, JL 57, Sheet No. 23
Noyapara, JL 57, Sheet No. 24
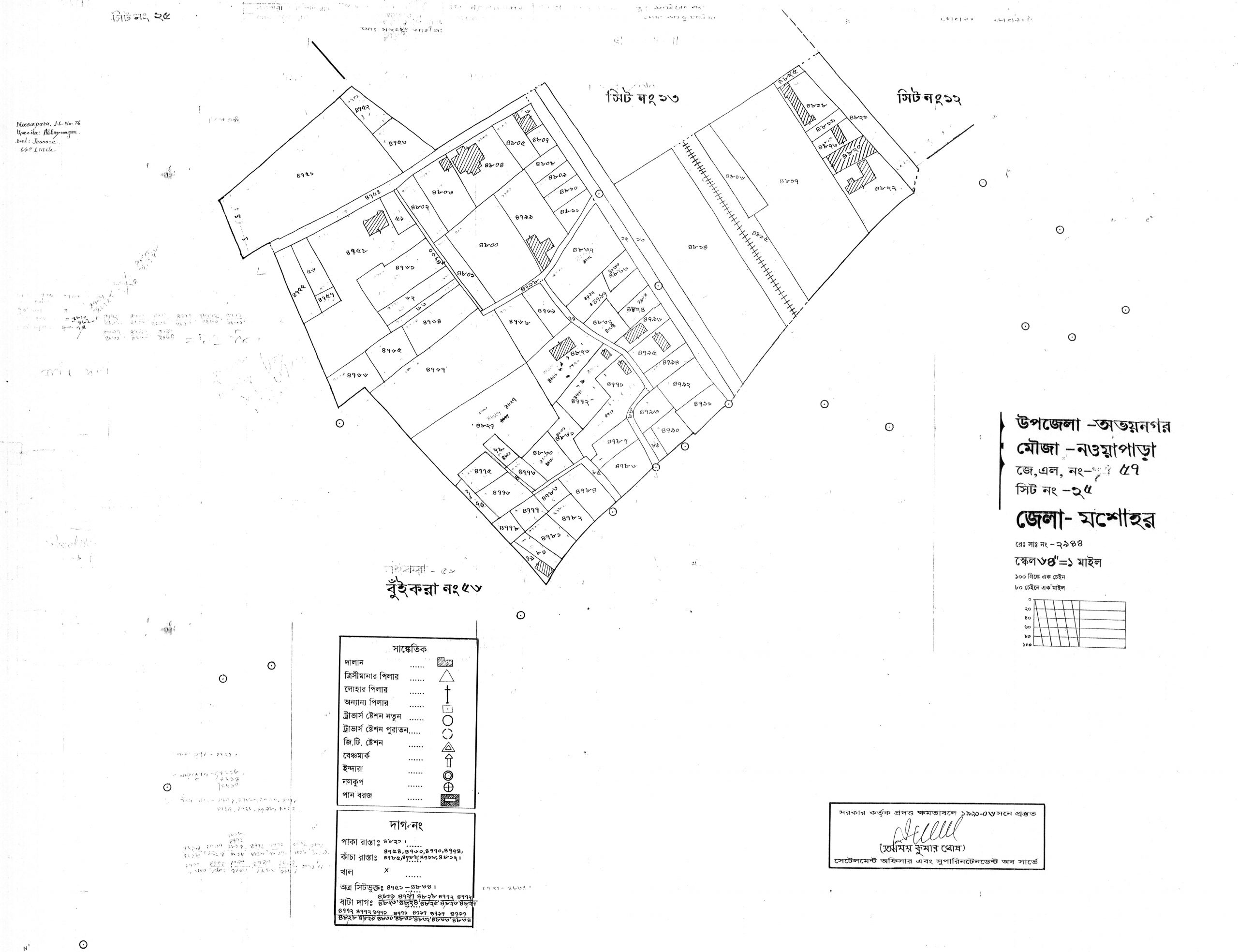
Noyapara, JL 57, Sheet No. 25
Noyapara, JL 57, Sheet No. 26

Rajghat, JL 48, Sheet No. 1

Rajghat, JL 48, Sheet No. 2

Sirajkati, JL 53

Mouza Maps (Revised Survey) of Abhaynagar, Jessore.

LEAVE A REPLY

Please enter your comment!
Please enter your name here